Coín

Te koop Residential Plot Costa Del Sol Coín € 700.000,-

Ref.no: RSOR5226715
Price: € 700.000,-

1-7980e48d732b6fc85c14b43b94d2aa54.jpg

Te koop Residential Plot Costa Del Sol Coín € 700.000,-

Living area2979m²
Poolno
Gardenyes
Parkingyes
Setting: Town, Commercial Area, Mountain Pueblo, Close To Shops, Close To Town, Close To Schools
Condition: Excellent
Views: Panoramic, Urban
Features: Lift, Near Transport
Parking: Underground, Covered
Utilities: Electricity, Drinkable Water
Category: Investment, Off Plan, Resale
Ref.no: RSOR5226715
Price: € 700.000,-

Plus d'information ›››
Te koop Residential Plot Costa Del Sol Coín € 700.000,-

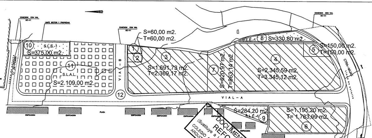
COIN, MALAGA... INVESTORS AND BUILDERS ATTENTION! Large plot of land located in the town of Coín.
To be built: The building will have a ground floor (intended for commercial premises), first, second, third floors, and a penthouse level (Ground Floor + 1st + 2nd + 3rd + Penthouse), with a total of 22 apartments plus commercial premises on the ground floor.

This area is part of the expansion of the Coín municipal district, experiencing significant and fruitful development. It is very well connected to the entrances and exits to Málaga, Cártama, Alhaurín de la Torre, Ojén, and Marbella, approximately 23 km away. Two buildings have already been constructed, and this plot corresponds to the third building. It comprises 1,195.20 m² of land and is zoned as urban land with final approval from the Coín Town Hall. The corresponding Special Plan, Land Redistribution Project, and Urbanization Project have been prepared and finalized. All expenses, fees, and investment taxes related to the Urbanization Plan have been fully paid to date.
It has a buildable area above ground of 1,783.99 m² and a basement level of 1,195.20 m² designated for parking and storage. The building comprises a ground floor (for commercial premises), first, second, third, and penthouse levels (Ground Floor + 1st + 2nd + 3rd + Penthouses), with a total of 22 apartments plus commercial premises on the ground floor. Plans identifying the planned properties are attached; the project has been approved and has a Municipal Building Permit.

The land is free of any liens or encumbrances.
This price includes the municipal building permit, fees for the basic and detailed design, and other Urbanization expenses. We are open to offers.

It is also possible to consider a sale including an exchange, for example, of 30%, so that the investor would pay a significantly lower price and contribute some homes with their corresponding parking spaces to the sellers.

Alternatives

1-7980e48d732b6fc85c14b43b94d2aa54.jpg

Te koop Residential Plot Costa Del Sol El Rosario € 750.000,-

Price € 750.000,-
Plus d'information
1-7980e48d732b6fc85c14b43b94d2aa54.jpg

Te koop Residential Plot Costa Del Sol Marbella € 650.000,-

Price € 650.000,-
Plus d'information
1-7980e48d732b6fc85c14b43b94d2aa54.jpg

Te koop Residential Plot Costa Del Sol Marbella € 680.000,-

Price € 680.000,-
Plus d'information
1-7980e48d732b6fc85c14b43b94d2aa54.jpg

Te koop Residential Plot Costa Del Sol Torremolinos Centro € 740.000,-

Price € 740.000,-
Plus d'information
Disclaimer | Links
Casadelmar %lng_cookie_notice% %lng_close%
x